De zeebodem in diepe delen van de oceaan bevat een goudmijn aan zeldzame en kostbare metalen. Maar van wie zijn die? Alleen al op de 4000 tot 5000 meter diepe bodem van de Clarion Clipperton Zone, een gebied in de Stille Oceaan tussen Mexico en Hawaï, liggen naar schatting 27 miljard mangaanknollen. Deze knollen, ook wel polymetallische.. 1) een langgerekte voederbak. 2) een langgerekte, nauwe en diepe kloof in de zeebodem veroorzaakt door subductie van een tektonische plaat. 3) een langgerekte uitstulping van een lagedrukgebied. 4) broodtrog, deegtrog, kneedtrog, moel; houten bak om (brood)deeg in te kneden en te laten rijpen. Synoniemen. bak pint pot voederkrib voedertrog.

'Het zal nog jaren duren voor we goed begrijpen wat zich op de diepe zeebodem afspeelt

De race naar de zeebodem hoe België een hoofdspeler werd in de diepzee MO*

Reis naar de zeebodem

Fossielen Uit De Zeebodem Gevangen in Zandsteen Stock Foto Image of onderzoek, fossiel 236745288

Geheimen van de zeebodem Geo
Rampschip dreigt weg te glijden in afgrond zeebodem Foto AD.nl

De race naar de zeebodem hoe België een hoofdspeler werd in de diepzee MO*

Toilet op de zeebodem stock afbeelding. Image of spanje 33947057

Fantasievolle Zeemeermin in De Diepe Oceaan. Plastic Waterflessen En Tassen Verontreiniging Op
'Laat grondstoffen voor smartphones op zeebodem met rust' De Volkskrant

drs. Rini van der Pol De wereld ontdekken met aardrijkskunde 4/5/6VWO Aarde Systeem de

Tropisch Zandstrand Op De Bodem Van De Onderwaterblauwe Diepzeebrede Zeebodem Met Zonnestralen

De zeebodem is aan het zinken door de stijging van het zeeniveau VRT NWS nieuws

Welke schatten herbergt de zeebodem tussen Sicilië en Tunesië? Unesco geeft eerste foto's van

Zeebodem voor Griekse kust bedolven onder reusachtige berg afval “Situatie is zeer ernstig

Eerste zeekabel voor aansluiting windparken op zee ligt nu op veilige diepte begraven in de zeebodem
Natuurbescherming in de Europese Unie krijgt een onvoldoende Trouw

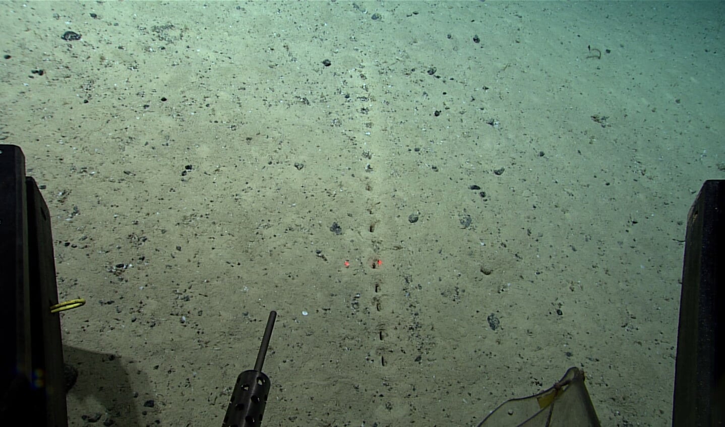
Een van de sporen in de zeebodem waarvan wetenschappers niet weten welk organisme erachter zit

Effecten van pulsvisserij op de zeebodem en benthos YouTube

De zeebodem is aan het zinken door de stijging van het zeeniveau VRT NWS nieuws
Trog. 1) Bak 2) Bodeminzinking 3) Deegbak 4) Diepe inzinking 5) Diepe kloof in de zeebodem 6) Diepte in de zeebodem 7) Drinkbak 8) Eetbak 9) Etensbak 10) Etensbak voor varkens 11) Geologische term 12) Gereedschap 13) Heel diepe etensbak 14) Inzinking 15) Kil 16) Kneedbak 17) Metselaarsgereedschap 18) Pint.. De titel "Diepe Inzinking in de Zeebodem" brengt de gedachte aan een mysterieuze en intrigerende gebeurtenis naar voren. Het roept beelden op van een onontdekte wereld onder de zee, waar de bodem plotseling en dramatisch in een diepe afgrond zakt. Hoewel de exacte betekenis van deze titel open blijft voor interpretatie, suggereert het een.